Kreuzfahrt mit der „Reina Silvia“ auf Galápagos
- 7. Tag: Freitag – Isla Rábida & Isla Sombrero Chino
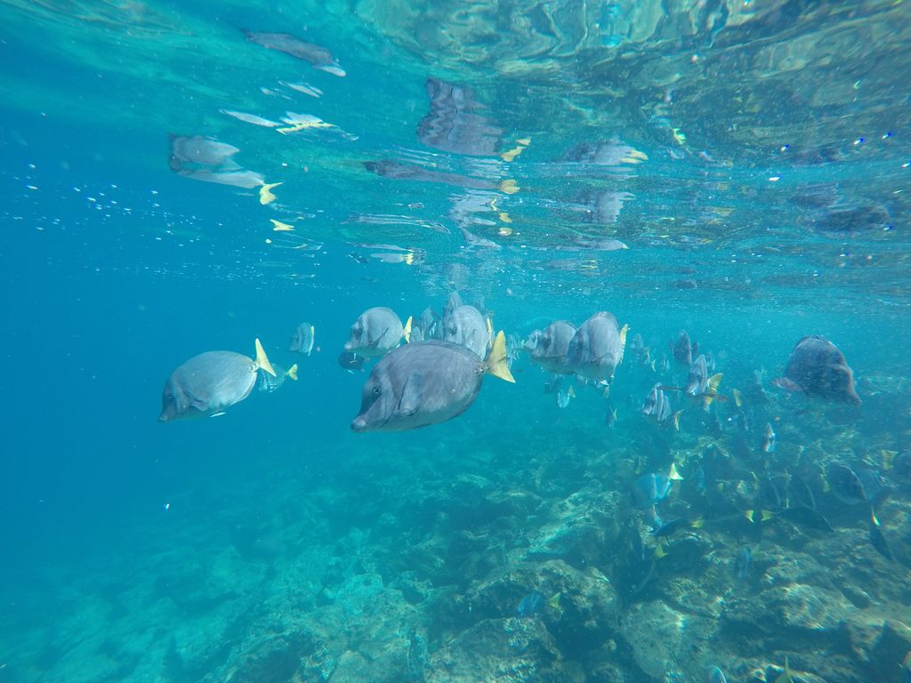
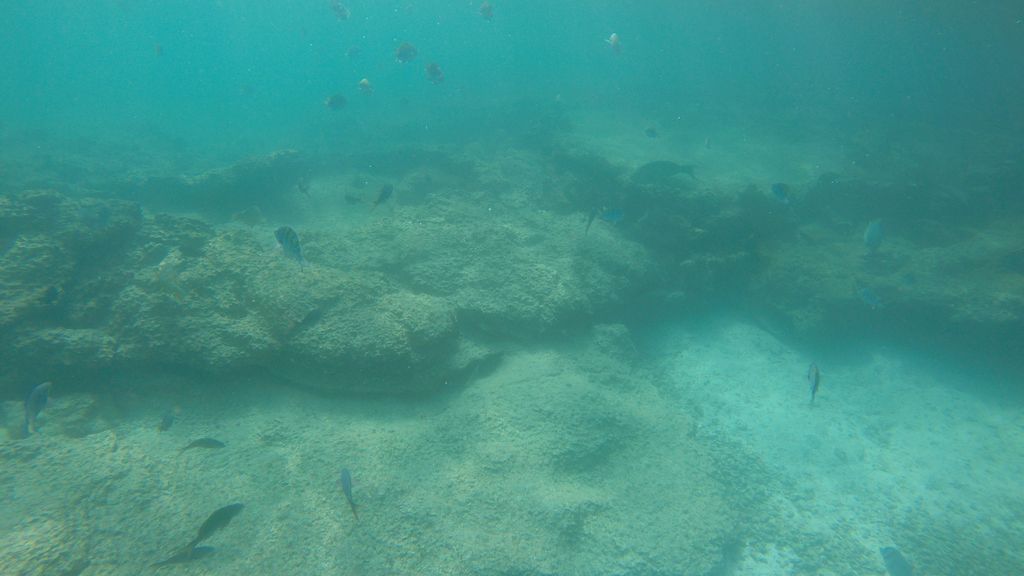
Breits in der Nacht legte das Schiff ab, um rechtzeitig vor dem Weckruf um 6 Uhr in der Bucht der Isla Rábida ankern zu können. Während des Landgangs vor dem Frühstück konnten wir an dem kleinem See unerwartet Flamingos sichten. Seitdem das Wasser dieses Gewässers vor einigen Jahren durch einen Tsunami mit Salzwasser verunreinigt wurde, bleiben die Flamingos aus. Beim Schnorcheln nach dem Frühstück wurden wir wieder von verschiedenen bunten Fischen begleitet, auch Seelöwen und Rochen kreuzten unseren Weg.
Die Mittagszeit wurde genutzt, um zur Isla Sombrero Chino (Chinese Hat Island) zu wechseln, wo ein kurzer Landgang eingelegt wurde. Beim darauffolgenden Schnorchelgang konnte ich mehrere Weißspitzen-Haie sichten. Ich wurde aus kürzester Entfernung von Seelöwen bestaunt und ich warf die letzten Blicke auf die wunderbare Unterwasserwelt Galapagos, denn nach der Rückkehr auf Schiff wurde zum letzten Mal der Anker gelichtet und es ging zurück nach Baltra, dort wo alles begann.

Neueste Kommentare